• Wersja kontrastowa ALT + 4
  • język migowy
BIP
Grafika BIP

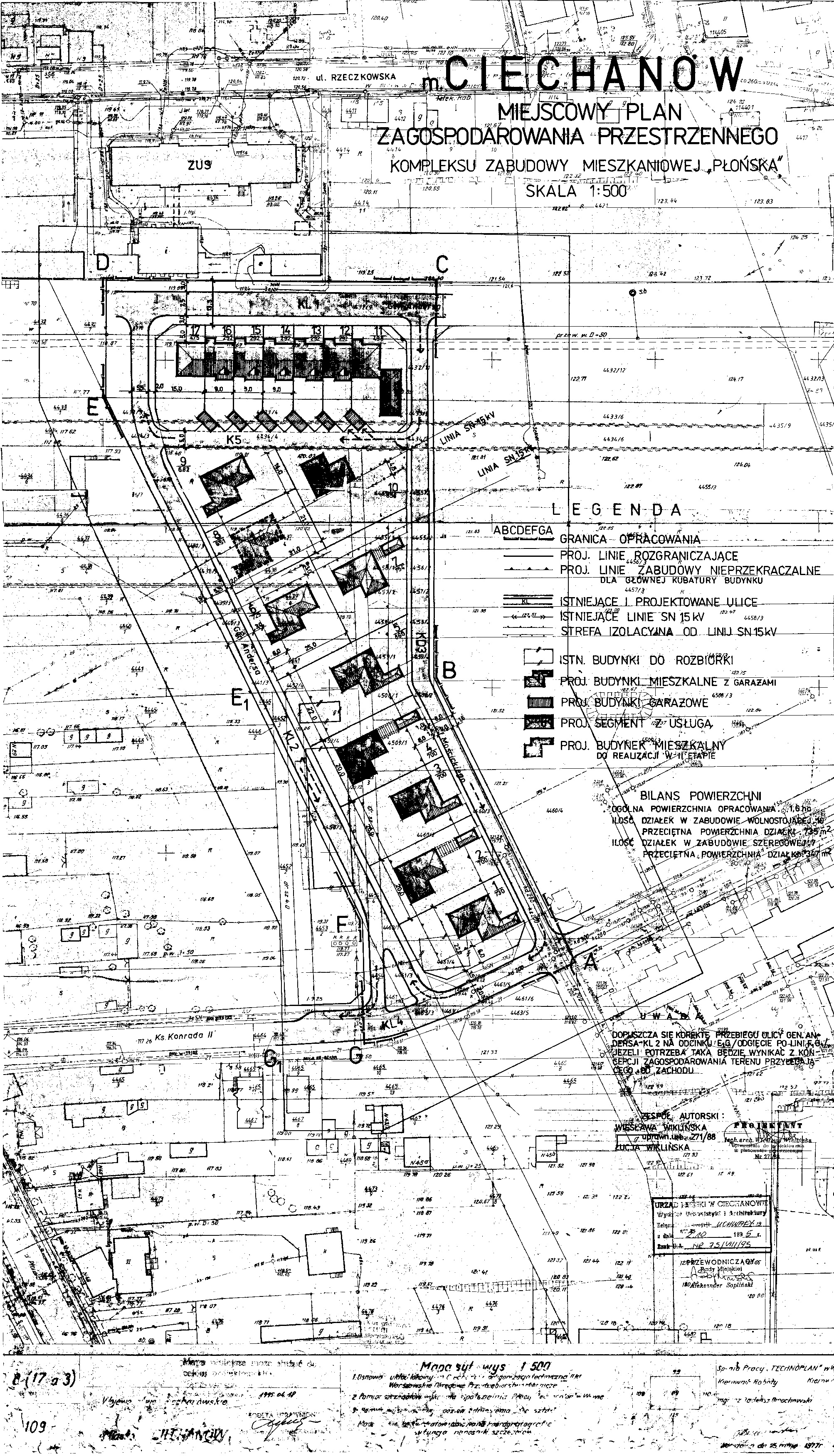
Miejscowy plan zagospodarowania przestrzennego terenu zabudowy mieszkaniowej o niskiej intensywności p.n. "PŁOŃSKA"

1. Miejscowy plan zagospodarowania przestrzennego terenu zabudowy mieszkaniowej o niskiej intensywności p.n. "PŁOŃSKA"

Zatwierdzenie

Uchwała Nr 75/VIII/95 Rady Miejskiej Ciechanowa z dnia 2 października 1995e. w sprawie uchwalenia miejscowego planu zagospodarowania przestrzennego terenu zabudowy mieszkaniowej o niskiej intensywności p.n. "PŁOŃSKA"

Publikacja

Dziennik Urzędowy Województwa Ciechanowskiego Nr 22 poz. 110 z dnia 24.11.1995r.

Wejście w życie

Po upływie 14 dni od dnia ogłoszenia w Dzienniku Urzędowym Województwa Ciechanowskiego

Zmieniony

Nie dotyczy

Rozstrzygnięcie nadzorcze

Nie dotyczy

 

Kategoria: "PŁOŃSKA" Miejscowy Plan Zagospodarowania Przestrzennego [2]
Format Data publikacji / aktualizacji Nazwa pliku (kliknij aby pobrać) Pobierz Zobacz
jpg 2017-03-09 Załącznik graficzny do uchwały (rysunek planu)
Zobacz: rejestr zmian pliku, ilość pobrań: 1057
Załącznik graficzny do uchwały (rysunek planu) 3,3MB zobacz
pdf 2017-03-09 Uchwała nr 75/VIII/95 Rady Miejskiej Ciechanowa z dnia 2 października 1995r.
Zobacz: rejestr zmian pliku, ilość pobrań: 388
Uchwała nr 75/VIII/95 Rady Miejskiej Ciechanowa z dnia 2 października 1995r. 47,79KB zobacz

Redakcja podstrony

Podmiot udostępniający informację
Urząd Miasta Ciechanów
Pierwsza publikacja
Mateusz Fila 2021-03-04 09:24
Aktualizacja publikacji
Mateusz Fila 2021-06-14 14:28
Wytworzenie publikacji
  2021-03-04 09:24
Zatwierdzenie
Fila Mateusz 2021-03-04 09:24
Rejestr zmian podstrony
Drukuj
Liczba odwiedzin
wczytuję
do góry